- Home
- Government
- Housing
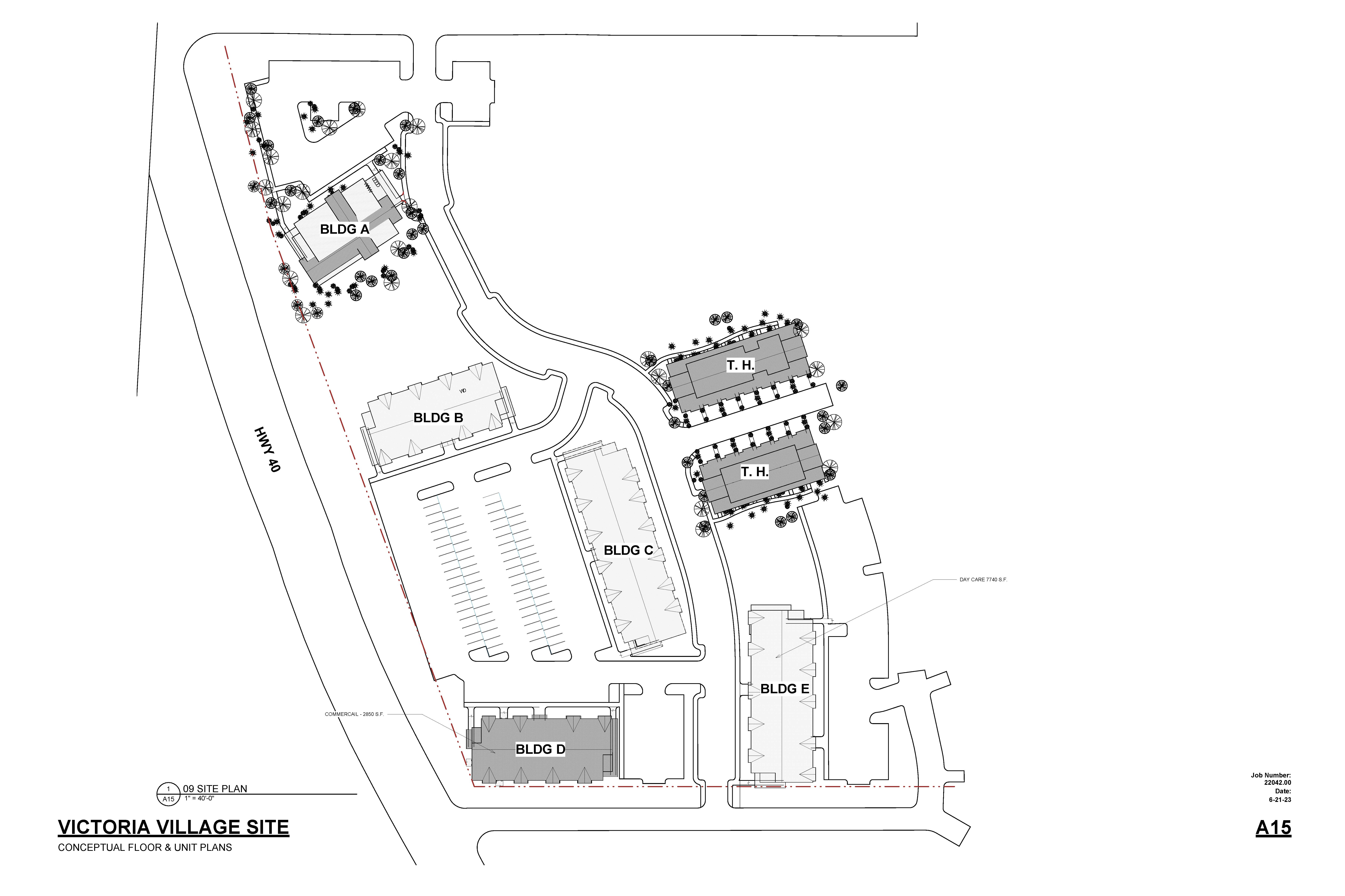
- St. Louis Landing
St. Louis Landing
Background:
Fraser purchased the St. Louis Landing property, previously known as Victoria Village, in May for $3.8 million, thanks to a Colorado Division of Housing grant called Operation Turnkey. In September, Fraser was reimbursed by Operation Turnkey, which covered 80% of the property’s cost. Since then, town trustees have held multiple meetings about how to fund the next step in the process: development.
The development’s driving force is to create affordable housing within two years. Fifty percent of the units in the development must be available to people earning 120% or less than the area median income of $71,769 per household — about $86,120. The other units are unrestricted, but the town would also like to keep those at the same median income limit.
All units will be deed-restricted in perpetuity. With deed restrictions, only full-time residents who work 30 or more hours per week in Grand County can rent or buy in the development. Remote workers can’t live in the Village, and units can’t be converted to short-term rentals.If an owner sells the home in the future, the deed restriction is in perpetuity. Fraser officials plan to construct high-density apartments, townhomes, and some single-family cottage-style homes.
The St. Louis Landing master planning, infrastructure extension, and site design will require grant support, allocated Town Funds and fee adjustments to leverage additional federal, state, and private financing to launch vertical construction in 2024 and drive project success. The Board of Trustees approved a Letter of Intent to apply for the Transformational Affordable Housing, Homeownership, and Workforce Housing Grant Program.
What’s Happened So Far:
- Land Acquisition & Planning: The Town purchased the land in Fraser with the goal of creating a walkable, bikeable neighborhood close to downtown.
- Community Engagement: Public meetings, open houses, and surveys helped shape the vision and design of the project.
- Infrastructure Design & Permitting: Engineering, access, and utility plans are in progress to support the future residential development.
- Funding Secured: Fraser has received multiple grants to help offset project costs and reduce the financial burden on the community.
- Ground Breaking in November 2024
Secured Funding the Town Has Received:
- More Housing Now: $2 million (infrastructure)
- Strong Communities: $3 million (infrastructure)
- More Housing Now II: $1.5 million (infrastructure)
- EIAF: $1 million (Early Childhood Education Center )
What's Next:
- Phase 1 Infrastructure Construction Started Late 2024
- Phase 1 Vertical Construction Summer 2025 - Building C and E and Early Childhood Center (100 units at AMIs of 80%-120%)